REQUEST A TOUR If you would like to see this home without being there in person, select the "Virtual Tour" option and your agent will contact you to discuss available opportunities.
In-PersonVirtual Tour

$ 45,000
Est. payment /mo
Active
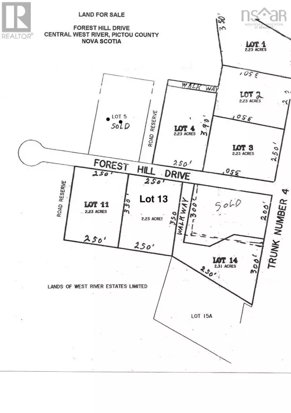
Lot 4 Forest Hill Drive Central West River, NS B0K1P0
2.3 Acres Lot
UPDATED:
Key Details
Property Type Vacant Land
Sub Type Freehold
Listing Status Active
Purchase Type For Sale
Subdivision Central West River
MLS® Listing ID 202428362
Lot Size 2.300 Acres
Acres 2.3
Property Sub-Type Freehold
Source Nova Scotia Association of REALTORS®
Property Description
This 2.23 acre lot is located in the beautiful community of Salt Springs. close to amenities, schools, and Salt Springs Park. This lot is part of a larger parcel with the option to purchase more land if desired. Located close to Highway 104 access, it's a fantastic location for anyone looking for an east commute to Truro or Halifax. (id:24570)
Location
Province NS
Rooms
Kitchen 0.0
Exterior
Parking Features No
View Y/N No
Private Pool No
Building
Sewer No sewage system
Others
Ownership Freehold
